
PDF Publication Title:
Text from PDF Page: 045
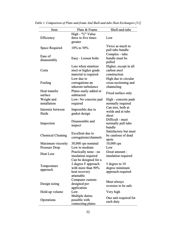
Table 1. Comparison of Plate-and-frame And Shell-and-tube Heat Exchangers [11] Item Efficiency Space Required Ease of disassembly Costs Fouling Heat transfer surface Weight and installation Intermix between fluids Inspection Chemical Cleaning Maximum viscosity Pressure Drop Heat Loss Temperature approach Design sizing Hold-up volume Operations Plate & Frame High - "U" Value three to five times greater 10% to 50% Easy - Loosen bolts Less when stainless steel or higher grade material is required Low due to corrugations an inherent turbulence Plates easily added or subtracted Low- No concrete pad required Impossible due to gasket design Disassemble and inspect Excellent due to corrugations/channels 30,000 cps nominal Low to medium Practically none - no insulation required Can be designed for a 2 degree F approach with more than 90% heat recovery attainable Computer custom- designed per application Low Multiple duties possible with connecting plates Shell-and-tube Low Twice as much to pull tube bundle Complex - tube bundle must be pulled Higher, except in all carbon steel construction High due to circular cross-sectioning and channeling Fixed surface only High - concrete pads normally required Can mix, both at welds and at tube sheet Difficult - must normally pull tube bundle Satisfactory but must be cautious of dead spots 10,000 cps Low Great amount - insulation required 5 degree to 10 degree minimum approach required Must always oversize to be safe Very high One unit required for each duty 32PDF Image | TUDY OF LOW-GRADE WASTE HEAT RECOVERY
PDF Search Title:
TUDY OF LOW-GRADE WASTE HEAT RECOVERYOriginal File Name Searched:
u0015_0000001_0000628.pdfDIY PDF Search: Google It | Yahoo | Bing
NFT (Non Fungible Token): Buy our tech, design, development or system NFT and become part of our tech NFT network... More Info
IT XR Project Redstone NFT Available for Sale: NFT for high tech turbine design with one part 3D printed counter-rotating energy turbine. Be part of the future with this NFT. Can be bought and sold but only one design NFT exists. Royalties go to the developer (Infinity) to keep enhancing design and applications... More Info
Infinity Turbine IT XR Project Redstone Design: NFT for sale... NFT for high tech turbine design with one part 3D printed counter-rotating energy turbine. Includes all rights to this turbine design, including license for Fluid Handling Block I and II for the turbine assembly and housing. The NFT includes the blueprints (cad/cam), revenue streams, and all future development of the IT XR Project Redstone... More Info
Infinity Turbine ROT Radial Outflow Turbine 24 Design and Worldwide Rights: NFT for sale... NFT for the ROT 24 energy turbine. Be part of the future with this NFT. This design can be bought and sold but only one design NFT exists. You may manufacture the unit, or get the revenues from its sale from Infinity Turbine. Royalties go to the developer (Infinity) to keep enhancing design and applications... More Info
Infinity Supercritical CO2 10 Liter Extractor Design and Worldwide Rights: The Infinity Supercritical 10L CO2 extractor is for botanical oil extraction, which is rich in terpenes and can produce shelf ready full spectrum oil. With over 5 years of development, this industry leader mature extractor machine has been sold since 2015 and is part of many profitable businesses. The process can also be used for electrowinning, e-waste recycling, and lithium battery recycling, gold mining electronic wastes, precious metals. CO2 can also be used in a reverse fuel cell with nafion to make a gas-to-liquids fuel, such as methanol, ethanol and butanol or ethylene. Supercritical CO2 has also been used for treating nafion to make it more effective catalyst. This NFT is for the purchase of worldwide rights which includes the design. More Info
NFT (Non Fungible Token): Buy our tech, design, development or system NFT and become part of our tech NFT network... More Info
Infinity Turbine Products: Special for this month, any plans are $10,000 for complete Cad/Cam blueprints. License is for one build. Try before you buy a production license. May pay by Bitcoin or other Crypto. Products Page... More Info
| CONTACT TEL: 608-238-6001 Email: greg@infinityturbine.com | RSS | AMP |